
Hiker dies, group of Chinese tourists rescued after unprepared trek at Cradle Mountain
One woman dead, others rescued after a Chinese tour group set out on a hike without proper equipment amid Tasmania's volatile alpine conditions.

One woman dead, others rescued after a Chinese tour group set out on a hike without proper equipment amid Tasmania's volatile alpine conditions.

A Burnsville family displaced by Hurricane Helene remains in a donated camper a year later as volunteers push recovery forward.

Humberto becomes a hurricane with potential to strengthen further, while a nearby disturbance threatens the Caribbean and Southeast U.S. coast; Gabrielle shifts away from the Azores as Europe braces for swells.

University of Reading researchers link warmer air to reduced lift on departing aircraft, shortening climb angles and expanding the noise footprint near airports.

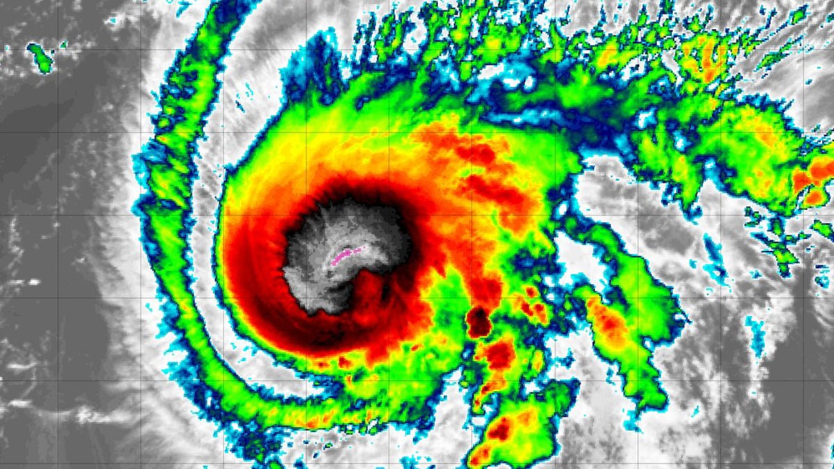
Hurricane Humberto expected to reach major hurricane status as a second system near Florida could become Imelda, raising questions about possible interaction off the coast.

The Argyle Street Ash will represent the UK in the European Tree of the Year finals in early 2026

Memorandum of understanding seals Inverness and Cromarty Firth Green Freeport with government backing

Weakening after landfall, the storm adds to a season of back-to-back Pacific storms as authorities shelter evacuees and assess damage

Midtown Manhattan’s iconic hub darkened for about 49 minutes; Grand Central Madison remained powered; investigation underway with Con Edison