
Scotland launches £100,000 fund to curb urban gulls amid safety concerns
Deterrent measures including lasers and nets unveiled as Inverness gull summit draws controversy over attendance

Deterrent measures including lasers and nets unveiled as Inverness gull summit draws controversy over attendance

Prominent economist argues that targeted health and development interventions could save millions now, while sweeping climate policies risk high costs with limited global benefits

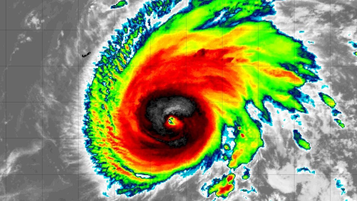
Hong Kong braces for a serious threat as authorities prepare evacuations, flight disruptions and closures; Shenzhen orders mass evacuations and rail services face suspension.

As demand for minerals to power renewables rises, activists say solutions must center women, families, and communities

Rodanthe homeowners relocate their three-story house 100 feet from the shoreline to preserve the home they call irreplaceable, highlighting the high cost of climate-driven coastal erosion.

Forecasters warn of dangerous surf and rip currents along the U.S. East Coast and Atlantic Canada; two additional Atlantic waves show potential development.

A Nature Medicine study by ISGlobal finds Europe warming at about twice the global average, with the Mediterranean region most affected and aging populations at highest risk.

Forecasters warn of life-threatening rip currents and rough seas along the U.S. East Coast as Gabrielle intensifies while moving offshore.

Eight Greenpeace activists scale two 75-meter chimneys at Staythorpe Power Station near Newark; four protesters descend and are arrested for trespassing as authorities monitor the scene.